• Hello, please take a minute to check out our awesome content, contributed by the wonderful members of our community. We hope you'll add your own thoughts and opinions by making a free account!

Tropical Melissa

Recon was way late taking off I'm not sure they will change anything at this point. May be too little too late

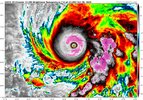
Landfall is around Noon. It's really started accelerating. Still very impressive goes19_ir_13L_202510281105_lat16.9-lon-78.4.jpg
 
Recon was way late taking off I'm not sure they will change anything at this point. May be too little too late

Landfall is around Noon. It's really started accelerating. Still very impressive View attachment 175763

Definitely setting up the most powerful Atlantic landfall since Dean.
 
Not sure exactly where Josh settled in at but that southwest coast is probably already seeing some pretty significant winds
 
Not sure exactly where Josh settled in at but that southwest coast is probably already seeing some pretty significant winds

His hotel is in Mandeville well inland

Of course I'm sure he's driving on the beach somewhere 🤣
 
HOLY ****
URNT15 KNHC 281237
AF303 2413A MELISSA HDOB 16 20251028
122730 1707N 07743W 6965 03043 9900 +108 //// 227067 068 /// /// 05
122800 1708N 07744W 6960 03042 //// +094 //// 226070 071 /// /// 05
122830 1710N 07745W 6963 03027 //// +101 //// 227073 074 056 007 01
122900 1711N 07746W 6966 03017 9872 +104 //// 225077 078 058 005 01
122930 1712N 07748W 6964 03004 //// +099 //// 225081 083 060 007 01
123000 1714N 07749W 6960 03000 //// +099 //// 227086 087 061 009 01
123030 1715N 07750W 6970 02977 //// +091 //// 226091 093 066 011 01
123100 1716N 07751W 6962 02970 //// +088 //// 223097 100 071 017 01
123130 1718N 07752W 6960 02952 //// +093 //// 223102 105 075 012 01
123200 1719N 07753W 6956 02931 //// +089 //// 220110 113 076 022 01
123230 1720N 07754W 6964 02890 //// +087 //// 222116 118 089 016 01
123300 1722N 07756W 6976 02846 //// +090 //// 223126 131 099 009 01
123330 1723N 07757W 6964 02805 9646 +106 //// 226137 140 120 036 01
123400 1724N 07757W 6974 02718 //// +095 //// 230148 150 141 056 01
123430 1725N 07758W 6967 02649 //// +095 //// 229155 160 167 054 01
123500 1726N 07759W 6959 02550 //// +104 //// 227158 165 179 024 09
123530 1727N 07800W 6904 02501 //// +118 //// 225150 161 /// /// 05
123600 1729N 07801W 6866 02422 9024 +195 +149 226107 142 162 000 03
123630 1730N 07802W 6949 02262 8964 +203 +140 225064 089 072 001 03
123700 1731N 07803W 6997 02158 8935 +194 +152 224024 055 060 005 03
$$
;
888 mb
 
What’s the record for Atlantic landfall pressure? This has to be it or top 3
 
I know one thing, we are spoiled with the amount of data at our fingertips. I remember rapidly refreshing the page of the DVM to see it update in 2005. Now we can track multiple planes in almost real time.
 
Back
Top