• Hello, please take a minute to check out our awesome content, contributed by the wonderful members of our community. We hope you'll add your own thoughts and opinions by making a free account!

Tropical Melissa

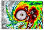
Melissa is an impressive storm. It is not far from the benchmark that Wilma set in 2005 as the strongest storm ever seen in the Atlantic basin. If the pressure drops ten more millibars, it will tie Wilma's record low pressure reading of 882 MB.
 
Last edited:
Melissa is an impressive storm. It is not far from the benchmark that Wilma set in 2004 as the strongest storm ever seen in the Atlantic basin. If the pressure drops ten more millibars, it will tie Wilma's record low pressure reading of 882 MB.

I think though the distinction we need to make is we didn't have the sheer amount of data on Wilma. We will never know what it actually achieved.
 
Melissa is an impressive storm. It is not far from the benchmark that Wilma set in 2004 as the strongest storm ever seen in the Atlantic basin. If the pressure drops ten more millibars, it will tie Wilma's record low pressure reading of 882 MB.
It had a much smaller eye. Same with Patricia.
 
Too bad this is the one hurricane that decided to never do an eye wall replacement cycle most of the time one gets this strong for this long it will almost always undergo an eyeball replacement cycle
 
The drop from the first plane just updated, offically 893mb with 13kt wind, so ~891-892mb realistically.
 
Just wow

SUMMARY OF 1000 AM EDT...1400 UTC...INFORMATION
----------------------------------------------
LOCATION...17.7N 78.1W
ABOUT 45 MI...70 KM SSE OF NEGRIL JAMAICA
ABOUT 255 MI...410 KM SW OF GUANTANAMO CUBA
MAXIMUM SUSTAINED WINDS...185 MPH...295 KM/H
PRESENT MOVEMENT...NNE OR 20 DEGREES AT 7 MPH...11 KM/H
MINIMUM CENTRAL PRESSURE...892 MB...26.34 INCHES
 
Does anyone know the strongest wind speed at landfall for an Atlantic Hurricane?

Probably 1935 but I don't think anyone lived to tell about it

Dorian in the Bahamas is probably the modern example

I'm not sure if anyone has actually measured it for real
 
Anyone got a good tv channel/stream to watch at work? The weather channel sucks it’s all commercials
 
Heres a multi-city camera live stream. Looks like a bridge was already compromised in one

 
Back
Top